Ga naar de mobiele website
^ Top
  • 18°C Weer
  • Lezersservice
  • Digikrant
  • Abonneer nu
  • Shop
  • Topics
  • Vind ik leuk
  • Volgen
HLN.be
    • Bizar
    • Geld
    • Wetenschap & Planeet
    • iHLN
    • Auto
    • Reizen
    • WOON.
  • Nieuws
  • Sport
  • Show Showbizz
  • Nina
  • In de buurt
  • Video
  • Zoeken
  • Inloggen
  • Binnenland
  • Buitenland

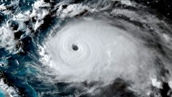
Orkaan Dorian

Orkanen zoals Dorian zullen ons vaker teisteren dankzij cocktail van factoren (en hun tergende traagheid) 2

Orkanen zoals Dorian zullen ons vaker teisteren dankzij cocktail van factoren (en hun tergende traagheid)

Tergend traag beweegt Dorian over de Bahama’s richting het vasteland. Een cocktail van zijn slakkengangetje, metershoge stormvloeden,...

  • Orkaan Dorian afgezwakt tot categorie 4 maar nog “extreem gevaarlijk”: “13.000 huizen zwaar beschadigd of vernietigd”, één luchthaven in Florida gesloten 27

    Orkaan Dorian afgezwakt tot categorie 4 maar nog “extreem gevaarlijk”: “13.000 huizen zwaar beschadigd of vernietigd”, één luchthaven in Florida gesloten

  • “Mijn baby is amper 4 maanden, bid voor ons”: bewoners Bahama’s wanhopig bij doortocht orkaan Dorian 34

    “Mijn baby is amper 4 maanden, bid voor ons”: bewoners Bahama’s wanhopig bij doortocht orkaan Dorian

  • “Niet zeker of ik al ooit gehoord heb van orkaan van categorie 5": Dorian is de vierde tijdens Trumps presidentschap 29

    “Niet zeker of ik al ooit gehoord heb van orkaan van categorie 5": Dorian is de vierde tijdens Trumps presidentschap

  • "Orkaan Dorian zal catastrofale gevolgen hebben” Bevat video

    "Orkaan Dorian zal catastrofale gevolgen hebben”

  • Orkaan Dorian eist eerste dode: Lachino (7) meegesleurd door water en verdronken

    Orkaan Dorian eist eerste dode: Lachino (7) meegesleurd door water en verdronken

  • Gents gezin in Florida vreest orkaan Dorian: “Onze grootste angst is het overstromingsgevaar” Bevat video

    Gents gezin in Florida vreest orkaan Dorian: “Onze grootste angst is het overstromingsgevaar”

  • Zo komen orkanen aan hun naam (en de vrouwelijke blijken de gevaarlijkste)

    Zo komen orkanen aan hun naam (en de vrouwelijke blijken de gevaarlijkste)

  • ‘Huizen kunnen herbouwd worden, levens niet’: premier Bahama’s roept toeristen en inwoners op te schuilen voor orkaan Dorian 1

    ‘Huizen kunnen herbouwd worden, levens niet’: premier Bahama’s roept toeristen en inwoners op te schuilen voor orkaan Dorian

  • Orkaan Dorian kan verzekeringen 22,5 miljard kosten

    Orkaan Dorian kan verzekeringen 22,5 miljard kosten

Alle artikels uit Orkaan Dorian
Volgende Vorige

Hoe granaataanslag op de fiets einde maakt aan wapenstilstand in Antwerpse drugsoorlog HLN Plus

Hoe granaataanslag op de fiets einde maakt aan wapenstilstand in Antwerpse drugsoorlog

Met een nieuwe granaataanslag is maandagochtend een einde gekomen aan de schijnbare wapenstilstand in de oorlog tussen Antwerpse...


Spaanse politie maakt jacht op Belgische toerist die tiener keel probeerde over te snijden op Mallorca 8

Spaanse politie maakt jacht op Belgische toerist die tiener keel probeerde over te snijden op Mallorca


Gasten op bruiloft in Houthalen schieten met alarmpistolen in de lucht, politie opent onderzoek Houthalen-Helchteren

Gasten op bruiloft in Houthalen schieten met alarmpistolen in de lucht, politie opent onderzoek


  • Stormweer blaast man de lucht in
  • Chinese adoptiemoeder van 118 kinderen krijgt 20 jaar cel voor fraude

Waarom onze regenwaterput binnenkort wellicht slim wordt HLN Plus

Waarom onze regenwaterput binnenkort wellicht slim wordt

17u49 Na recent nog de gas- en elektriciteitsmeter wordt nu ook de regenwaterput ‘slim’. In de strijd tegen droogte maar vooral overstromingen...


Spaanse zangeres sterft op podium door vuurwerkongeluk

Spaanse zangeres sterft op podium door vuurwerkongeluk

22u01 Een Spaanse zangeres is zaterdagnacht om het leven gekomen door een vuurwerkongeluk tijdens haar concert in Las Berlanas, vlak bij...



Brexit-poker bereikt stilaan hoogtepunt: “Boris Johnson plant verkiezingen op 14 oktober als hij stemming verliest” Brexit 16

Brexit-poker bereikt stilaan hoogtepunt: “Boris Johnson plant verkiezingen op 14 oktober als hij stemming verliest”

18u54 De Britse premier Boris Johnson heeft vanavond tegengesproken dat hij verkiezingen wil uitroepen als een motie tegen een no-deal brexit...

Nu al zes mensen vast voor verdwijning Nederlandse miljonair Tob Cohen in Kenia

Nu al zes mensen vast voor verdwijning Nederlandse miljonair Tob Cohen in Kenia


Spoedarts die vrouw in water onterecht dood verklaarde, riskeert celstraf binnenland

Spoedarts die vrouw in water onterecht dood verklaarde, riskeert celstraf

Net binnen

Alle berichten
  • 22u01

    Spaanse zangeres sterft op podium door vuurwerkongeluk

  • 21u31

    Hannover evacueert 15.000 bewoners na ontdekking bom uit WOII

  • 20u04

    Nu al zes mensen vast voor verdwijning Nederlandse miljonair Tob...

  • 18u54

    Brexit-poker bereikt stilaan hoogtepunt: “Boris Johnson plant...

  • 18u47

    Orkaan Dorian afgezwakt tot categorie 4 maar nog “extreem...

Brexit-poker bereikt stilaan hoogtepunt: “Boris Johnson plant verkiezingen op 14 oktober als hij stemming verliest” Brexit 16

Brexit-poker bereikt stilaan hoogtepunt: “Boris Johnson plant verkiezingen op 14 oktober als hij stemming verliest”

18u54 De Britse premier Boris Johnson heeft vanavond tegengesproken dat hij verkiezingen wil uitroepen als een motie tegen een no-deal brexit...


Hannover evacueert 15.000 bewoners na ontdekking bom uit WOII

Hannover evacueert 15.000 bewoners na ontdekking bom uit WOII

21u31 Meer dan 15.000 inwoners van de Duitse stad Hannover, in de deelstaat Nedersaksen, zijn deze avond geëvacueerd nadat er een bom ontdekt...


Vier lichamen gevonden na brand op boot voor kust van Californië, 29 mensen vermist UPDATE 2

Vier lichamen gevonden na brand op boot voor kust van Californië, 29 mensen vermist


Orkanen zoals Dorian zullen ons vaker teisteren dankzij cocktail van factoren (en hun tergende traagheid) Weernieuws 2

Orkanen zoals Dorian zullen ons vaker teisteren dankzij cocktail van factoren (en hun tergende traagheid)


Begrotingstekort loopt op tot bijna 12 miljard tegen 2024 612

Begrotingstekort loopt op tot bijna 12 miljard tegen 2024

11u04 Het begrotingstekort loopt tegen het einde van de legislatuur in 2024 op tot 11,8 miljard euro. Dat staat in een nieuw rapport van het...


Boris Johnson haalt ultieme dreigement boven tegen rebelse parlementsleden: stem niet tegen mij of je vliegt buiten 143

Boris Johnson haalt ultieme dreigement boven tegen rebelse parlementsleden: stem niet tegen mij of je vliegt buiten

07u26 De top van de Britse Conservatieve partij heeft rebelse parlementsleden gewaarschuwd dat ze uit de partij zullen worden gezet als ze het...



Wat zich afspeelde achter de façades van Epsteins huizen: “Het waren paleizen van pijn” Celebrities 33

Wat zich afspeelde achter de façades van Epsteins huizen: “Het waren paleizen van pijn”

12u02 Nu Jeffrey Epstein is overleden, komen steeds meer schokkende details en ontluisterende verhalen over de van kindermisbruik en...

Ouders radeloos na moord op dochter: "Oudste dochter stierf aan longkanker. Nu pakt hij ons ook Sally af” HLN Plus

Ouders radeloos na moord op dochter: "Oudste dochter stierf aan longkanker. Nu pakt hij ons ook Sally af”


Plaatstekort Brussels basisonderwijs: "Situatie gelijklopend met vorig jaar" Brussel

Plaatstekort Brussels basisonderwijs: "Situatie gelijklopend met vorig jaar"

Meest gelezen op HLN

  1. 1

    LIVE Transfer Deadline Day. Haroun niet naar AA Gent - Diaby...

    236.172 keer gelezen
  2. 2

    Maddie (18) wil iedereen wijzen op het gevaar van vapen: “Het...

    152.216 keer gelezen
  3. 3

    Ouders radeloos na moord op dochter: "Oudste dochter stierf aan...

    116.411 keer gelezen
  4. 4

    Orkaan Dorian afgezwakt tot categorie 4 maar nog “extreem...

    114.523 keer gelezen
  5. 5

    Romelu Lukaku roept voetbalinstanties op tot actie na racisme-incident

    112.410 keer gelezen
Wat zich afspeelde achter de façades van Epsteins huizen: “Het waren paleizen van pijn” Celebrities 33

Wat zich afspeelde achter de façades van Epsteins huizen: “Het waren paleizen van pijn”

12u02 Nu Jeffrey Epstein is overleden, komen steeds meer schokkende details en ontluisterende verhalen over de van kindermisbruik en...

"Blijven ademen!" Chauffeur blijft ijzig kalm terwijl vrouw bevalt in taxi bizar

"Blijven ademen!" Chauffeur blijft ijzig kalm terwijl vrouw bevalt in taxi

De grote Bernie Sanders-show: de opvallendste momenten uit het CNN-debat

De grote Bernie Sanders-show: de opvallendste momenten uit het CNN-debat

Onze partner

Wanneer loslaten net iets moeilijker ligt: “Zary (2,5) heeft leukemie maar gaat vandaag toch naar het eerste kleuterklasje” Sint-Truiden

Wanneer loslaten net iets moeilijker ligt: “Zary (2,5) heeft leukemie maar gaat vandaag toch naar het eerste kleuterklasje”

Het zal voor veel mama’s in Vlaanderen niet makkelijk geweest zijn om hun oogappel aan de schoolpoort af te droppen. Maar voor de...


Aan het aftellen naar een volgende vakantie of benieuwd naar verlengde weekends? Een overzicht voor het nieuwe schooljaar 1

Aan het aftellen naar een volgende vakantie of benieuwd naar verlengde weekends? Een overzicht voor het nieuwe schooljaar


Goed gestart: 8 gadgets voor leuker bureauwerk Woon.

Goed gestart: 8 gadgets voor leuker bureauwerk


Ruim 10 procent meer faillissementen tijdens zomermaanden Economie 6

Ruim 10 procent meer faillissementen tijdens zomermaanden

17u25 In juli en augustus zijn in België 1.367 bedrijven failliet gegaan, een stijging met 10,4 procent ten opzichte van dezelfde maanden in...


“Twistbroers Ray en Dave Davies worden buren” HLN Plus Bevat video

“Twistbroers Ray en Dave Davies worden buren”

17u08 Om het minste akkefietje vertimmerden ze elkaars gezicht. Tot zelfs op het podium. Ernaast meden ze elkaar decennialang als de pest. Maar...



Opnieuw granaat ontploft in Guldensporenstraat in Borgerhout, doelwit wellicht gekende drugsfamilie Borgerhout

Opnieuw granaat ontploft in Guldensporenstraat in Borgerhout, doelwit wellicht gekende drugsfamilie

Vanmorgen om 3.40 uur is een handgranaat ontploft in de Guldensporenstraat in Borgerhout. Het doelwit zou de famile El H. zijn, goed...

Engie leent 750 miljoen euro aan 0 procent Economie 3

Engie leent 750 miljoen euro aan 0 procent


Hoe radicaal-rechts Europa verder verovert HLN Plus

Hoe radicaal-rechts Europa verder verovert

  • Volg HLN op Facebook
  • Volg HLN op Twitter
  • Volg HLN op Instagram
  • HLN nieuwsbrief
Opnieuw granaat ontploft in Guldensporenstraat in Borgerhout, doelwit wellicht gekende drugsfamilie Borgerhout

Opnieuw granaat ontploft in Guldensporenstraat in Borgerhout, doelwit wellicht gekende drugsfamilie

Vanmorgen om 3.40 uur is een handgranaat ontploft in de Guldensporenstraat in Borgerhout. Het doelwit zou de famile El H. zijn, goed...

Enorme 'stofduivel' gefilmd bij koolmijn

Enorme 'stofduivel' gefilmd bij koolmijn

Onze partner
Zou jij een dino-ei herkennen? Dit jongetje vond er elf!

Zou jij een dino-ei herkennen? Dit jongetje vond er elf!

Dit zijn de beste smartphones per prijsklasse Multimedia 6

Dit zijn de beste smartphones per prijsklasse

Deze energieleveranciers bieden momenteel de goedkoopste tarieven Energie 20

Deze energieleveranciers bieden momenteel de goedkoopste tarieven

Moeder zet dochter die overleed aan overdosis op reclamebord: "Het was haar droom om model te worden” Bevat video

Moeder zet dochter die overleed aan overdosis op reclamebord: "Het was haar droom om model te worden”


Erik Van Looy lost nieuwe namen voor ‘De Slimste Mens ter Wereld’ TV

Erik Van Looy lost nieuwe namen voor ‘De Slimste Mens ter Wereld’

22u45 Erik Van Looy (57) was vanavond te gast in ‘Gert Late Night'. Daar maakte hij enkele nieuwe namen voor ‘De Slimste Mens ter Wereld’...


Russisch koppel dat kinderen meenam naar oppositiebetoging behoudt toch het hoederecht 1

Russisch koppel dat kinderen meenam naar oppositiebetoging behoudt toch het hoederecht


China dient een klacht in bij Wereldhandelsorganisatie wegens Amerikaanse invoerheffingen buitenland 10

China dient een klacht in bij Wereldhandelsorganisatie wegens Amerikaanse invoerheffingen


"Artsen zwijgen fouten dood. Dus blijven ze dezelfde fouten maken”: specialist pleit voor nationaal meldpunt De Krant 71

"Artsen zwijgen fouten dood. Dus blijven ze dezelfde fouten maken”: specialist pleit voor nationaal meldpunt

Het aantal verkeersdoden probeert onze overheid al decennia te verminderen, maar aan het aantal doden in onze ziekenhuizen door een fout...


Na tweet van Trump bevestigt Iran explosie in ruimtevaartcentrum

Na tweet van Trump bevestigt Iran explosie in ruimtevaartcentrum

16u15 Iran heeft een explosie in zijn ruimtevaartcentrum in Semnan, in het centrum van Iran, bevestigd. "Maar het ongeval heeft niks te maken...



Justin Bieber nerveus over huwelijk met Hailey Baldwin: "Hij wil dat alles perfect is” Celebrities

Justin Bieber nerveus over huwelijk met Hailey Baldwin: "Hij wil dat alles perfect is”

22u14 Op 30 september stapt Justin Bieber (25) voor de tweede keer in het huwelijksbootje met Hailey Baldwin (22). En hoewel hij uitkijkt naar...

Britse ex-premier Tony Blair haalt hard uit naar Boris Johnson: “Shockerend, onverantwoord en gevaarlijk” 11

Britse ex-premier Tony Blair haalt hard uit naar Boris Johnson: “Shockerend, onverantwoord en gevaarlijk”


Nederlandse zanger Dotan komt uit de kast Showbizz

Nederlandse zanger Dotan komt uit de kast

Justin Bieber nerveus over huwelijk met Hailey Baldwin: "Hij wil dat alles perfect is” Celebrities

Justin Bieber nerveus over huwelijk met Hailey Baldwin: "Hij wil dat alles perfect is”

22u14 Op 30 september stapt Justin Bieber (25) voor de tweede keer in het huwelijksbootje met Hailey Baldwin (22). En hoewel hij uitkijkt naar...

Zeg vaarwel tegen het ronde autostuur

Zeg vaarwel tegen het ronde autostuur

De appel valt niet ver van de boom: de vader van Boris Johnson reageert

De appel valt niet ver van de boom: de vader van Boris Johnson reageert

Syrisch meisje (3) dolblij met nieuwe prothese

Syrisch meisje (3) dolblij met nieuwe prothese

Onze partner
Vrouw schopt agent om banale boete

Vrouw schopt agent om banale boete

Onze partner
Man crasht met auto, klimt uit dak en vlucht weg

Man crasht met auto, klimt uit dak en vlucht weg

Onze partner
Politiewagen kan een eland en haar kalf maar net ontwijken

Politiewagen kan een eland en haar kalf maar net ontwijken

Onze partner
Exclusief hotel in Singapore: vanaf 600 euro per nacht maar wel met persoonlijke butler Bevat video

Exclusief hotel in Singapore: vanaf 600 euro per nacht maar wel met persoonlijke butler

Grootste luchtballonfestival ter wereld strijkt neer in Frankrijk

Grootste luchtballonfestival ter wereld strijkt neer in Frankrijk

Onze partner
Grensmuur tussen VS en Mexico krijgt wipplank voor kinderen zodat ze nog met elkaar kunnen spelen Bevat video

Grensmuur tussen VS en Mexico krijgt wipplank voor kinderen zodat ze nog met elkaar kunnen spelen

Gasramp  in Gellingen is vandaag precies 15 jaar geleden Bevat video

Gasramp in Gellingen is vandaag precies 15 jaar geleden

Paleontologen ontdekken gigantisch dijbeen van dinosauriër

Paleontologen ontdekken gigantisch dijbeen van dinosauriër

Onze partner

De Watergroep wil drinkwater uit de Noordzee halen Oostende

De Watergroep wil drinkwater uit de Noordzee halen

De kans is reëel dat er binnenkort ontzilt zeewater uit onze kraan komt. De Watergroep, het grootste drinkwaterbedrijf van Vlaanderen,...


'Operatie Kevin Hart is goed verlopen' Celebrities

'Operatie Kevin Hart is goed verlopen'


Bende troggelde verliefde vrouwen miljoen euro af na contacten via datingsites Gent

Bende troggelde verliefde vrouwen miljoen euro af na contacten via datingsites


Amerikaanse school bant alle ‘Harry Potter’-boeken: “Vanwege het risico om boze geesten op te roepen” Showbizz 5

Amerikaanse school bant alle ‘Harry Potter’-boeken: “Vanwege het risico om boze geesten op te roepen”

20u22 Een katholieke school in Nashville, Tennessee, heeft alle exemplaren van de populaire ‘Harry Potter’-reeks uit haar bibliotheek...


Johnson schaft puppy aan op Downing Street buitenland 7

Johnson schaft puppy aan op Downing Street

16u53 De in Groot-Brittannië beroemde kat Larry, vaste bewoner van Downing Street 10 in Londen, heeft gezelschap gekregen van een hondje. De...



Amerikaanse minister van Buitenlandse Zaken Pompeo in het land 3

Amerikaanse minister van Buitenlandse Zaken Pompeo in het land

12u34 De Amerikaanse minister van Buitenlandse Zaken Mike Pompeo is vandaag en morgen in Brussel. Op de agenda staat onder meer een ontmoeting...

Durft Inge De Vogelaere uit een vliegtuig te springen? Bevat video

Durft Inge De Vogelaere uit een vliegtuig te springen?


Dit zag je niet op tv: Kürt Rogiers wil aan de slag met de lokken van Koen Wauters Bevat video

Dit zag je niet op tv: Kürt Rogiers wil aan de slag met de lokken van Koen Wauters

Amerikaanse minister van Buitenlandse Zaken Pompeo in het land 3

Amerikaanse minister van Buitenlandse Zaken Pompeo in het land

12u34 De Amerikaanse minister van Buitenlandse Zaken Mike Pompeo is vandaag en morgen in Brussel. Op de agenda staat onder meer een ontmoeting...

Spectaculaire beelden: goederentrein ontspoort in Tsjechië

Spectaculaire beelden: goederentrein ontspoort in Tsjechië

Onze partner
Guy Van Sande: "De witte ridder in mij wilde zelf naar de politie stappen" HLN Plus

Guy Van Sande: "De witte ridder in mij wilde zelf naar de politie stappen"

Dit is de smartphone met de beste camera HLN Plus

Dit is de smartphone met de beste camera

De 100 Belgen van 2018. Nina Derwael (plaats 1): "Wacht maar: ik kan nog véél beter" HLN Plus

De 100 Belgen van 2018. Nina Derwael (plaats 1): "Wacht maar: ik kan nog véél beter"

De 100 Belgen van 2018. Theo Francken (plaats 2): "Ik ben een man met een missie. Ik kom terug" HLN Plus

De 100 Belgen van 2018. Theo Francken (plaats 2): "Ik ben een man met een missie. Ik kom terug"

De 100 Belgen van 2018. Nafi Thiam (plaats 3): “Ik moét de beste zijn. Of het land is ontgoocheld” HLN Plus

De 100 Belgen van 2018. Nafi Thiam (plaats 3): “Ik moét de beste zijn. Of het land is ontgoocheld”

De 100 Belgen van 2018. Bart De Wever (plaats 4): "Als je moeder je kind wordt: dat hakt er diep in” HLN Plus

De 100 Belgen van 2018. Bart De Wever (plaats 4): "Als je moeder je kind wordt: dat hakt er diep in”

De 100 Belgen van 2018. Roberto Martínez (plaats 5): Hij is van ons gaan houden, en wij van hem HLN Plus

De 100 Belgen van 2018. Roberto Martínez (plaats 5): Hij is van ons gaan houden, en wij van hem

Paul Magnette: “N-VA heeft extreemrechts versterkt in Vlaanderen” Bevat video

Paul Magnette: “N-VA heeft extreemrechts versterkt in Vlaanderen”

VIDEO. Niels Destadsbader op plaats 9 bij de 100 Belgen van 2018: “Paar jaar geleden stonden gasten nog obscene gebaren te maken” Bevat video

VIDEO. Niels Destadsbader op plaats 9 bij de 100 Belgen van 2018: “Paar jaar geleden stonden gasten nog obscene gebaren te maken”

De 100 Belgen van 2018. Gert Verhulst (plaats 10): “Hoe ouder ik word, hoe blijer ik ben” HLN Plus

De 100 Belgen van 2018. Gert Verhulst (plaats 10): “Hoe ouder ik word, hoe blijer ik ben”


Japan opnieuw gestart met jaarlijkse dolfijnenjacht dieren 9

Japan opnieuw gestart met jaarlijkse dolfijnenjacht

12u42 Japan is begonnen met de omstreden jaarlijkse dolfijnenjacht bij de kustplaats Taiji, meldt de BBC. De dieren worden in een baai...


Jennifer Lopez vroeg bekende Amerikaanse rechter om huwelijksadvies Celebrities

Jennifer Lopez vroeg bekende Amerikaanse rechter om huwelijksadvies


Zoekactie gestart naar vermiste schedel van Schotse ‘heks’ Wetenschap 1

Zoekactie gestart naar vermiste schedel van Schotse ‘heks’


Afghaan die toeristen neerstak in Amsterdam, wilde "profeet beschermen" buitenland 1

Afghaan die toeristen neerstak in Amsterdam, wilde "profeet beschermen"

15u43 Een Afghaan die vorig jaar twee Amerikaanse toeristen neerstak op Amsterdam Centraal Station, heeft zijn daad gemotiveerd met de...


Maddie (18) wil iedereen wijzen op het gevaar van vapen: “Het kostte me bijna mijn leven” Buitenland 82

Maddie (18) wil iedereen wijzen op het gevaar van vapen: “Het kostte me bijna mijn leven”

01/09 De 18-jarige Maddie Nelson wil mensen waarschuwen voor de risico’s van vapen. “Ik ging ervan uit dat het gezond was”, schrijft ze in een...



Kris Van Dijck krijgt 15 dagen rijverbod en 1.600 euro boete na ongeval onder invloed, geen alcoholslot Dessel

Kris Van Dijck krijgt 15 dagen rijverbod en 1.600 euro boete na ongeval onder invloed, geen alcoholslot

De politierechtbank in Turnhout heeft gewezen Vlaams parlementsvoorzitter en burgemeester van Dessel, Kris Van Dijck (N-VA), veroordeeld...

Een op de zes werknemers met jonge kinderen neemt op eerste schooldag verlof

Een op de zes werknemers met jonge kinderen neemt op eerste schooldag verlof


"Orkaan Dorian zal catastrofale gevolgen hebben” Bevat video

"Orkaan Dorian zal catastrofale gevolgen hebben”

Kris Van Dijck krijgt 15 dagen rijverbod en 1.600 euro boete na ongeval onder invloed, geen alcoholslot Dessel

Kris Van Dijck krijgt 15 dagen rijverbod en 1.600 euro boete na ongeval onder invloed, geen alcoholslot

De politierechtbank in Turnhout heeft gewezen Vlaams parlementsvoorzitter en burgemeester van Dessel, Kris Van Dijck (N-VA), veroordeeld...

De 100 Belgen van 2018. Jill Peeters (plaats 16): "Burger doét al veel voor klimaat. Nu overheid nog" HLN Plus

De 100 Belgen van 2018. Jill Peeters (plaats 16): "Burger doét al veel voor klimaat. Nu overheid nog"

De 100 Belgen van 2018. Koen Naert (plaats 25): "Mijn medaille? Die ligt in een keukenkast" HLN Plus

De 100 Belgen van 2018. Koen Naert (plaats 25): "Mijn medaille? Die ligt in een keukenkast"

De 100 Belgen van 2018. Rik Torfs (plaats 37): “Ik heb veel talent om gelukkig te zijn” HLN Plus

De 100 Belgen van 2018. Rik Torfs (plaats 37): “Ik heb veel talent om gelukkig te zijn”

Wie is Dries Van Langenhove (25), de posterboy van rechts-conservatief Vlaanderen? “Ik ben geen Gutmensch, maar wel een goed mens” HLN Plus

Wie is Dries Van Langenhove (25), de posterboy van rechts-conservatief Vlaanderen? “Ik ben geen Gutmensch, maar wel een goed mens”

Derek (29) beleeft toch nog prettige feestdagen dankzij kaartjes van lezers: "Eenzaam sinds mijn vierde, maar wie weet wat 2019 brengt?" De Krant 21

Derek (29) beleeft toch nog prettige feestdagen dankzij kaartjes van lezers: "Eenzaam sinds mijn vierde, maar wie weet wat 2019 brengt?"

De 100 Belgen van 2018. De VAR (plaats 45): "Een spits die alleen voor doel staat, mist toch ook soms?" HLN Plus

De 100 Belgen van 2018. De VAR (plaats 45): "Een spits die alleen voor doel staat, mist toch ook soms?"

Jinnih Beels (sp.a): “Besturen is ballen hebben. Ik zeg liever achteraf dat ik ongelijk had” HLN Plus

Jinnih Beels (sp.a): “Besturen is ballen hebben. Ik zeg liever achteraf dat ik ongelijk had”

"Het lot heeft ons dubbel gezegend: ons kind leeft nog én heeft er een zusje bij" HLN Plus

"Het lot heeft ons dubbel gezegend: ons kind leeft nog én heeft er een zusje bij"

Hoe Gentse droom van liberalen nachtmerrie werd: een café waar gevochten wordt trekt geen volk HLN Plus

Hoe Gentse droom van liberalen nachtmerrie werd: een café waar gevochten wordt trekt geen volk

Beroemde gerechtsdeurwaarder Jo Van Backlé (91) overleden: alles moest juist zijn, behalve zijn naam HLN Plus

Beroemde gerechtsdeurwaarder Jo Van Backlé (91) overleden: alles moest juist zijn, behalve zijn naam

Nooit minder neerslagdagen dan in 2018 Weernieuws 8

Nooit minder neerslagdagen dan in 2018


Het is officieel: Shawn Mendes geeft toe dat hij een relatie heeft Celebrities

Het is officieel: Shawn Mendes geeft toe dat hij een relatie heeft

18u54 De geruchten deden al langer de ronde, maar nu heeft Shawn Mendes (21) het zelf bevestigd: hij heeft een relatie. Met wie vertelde hij er...


Zo vierde hij zijn 89ste verjaardag: zeldzame foto van Sean Connery opgedoken Celebrities 41

Zo vierde hij zijn 89ste verjaardag: zeldzame foto van Sean Connery opgedoken


Animal Rights tekent bezwaar aan tegen uitbreiding vergunning slachthuis Tielt Tielt

Animal Rights tekent bezwaar aan tegen uitbreiding vergunning slachthuis Tielt


Aquafin wil watervoorraad in 1,5 miljoen particuliere regenwaterputten vanop afstand beheren 254

Aquafin wil watervoorraad in 1,5 miljoen particuliere regenwaterputten vanop afstand beheren

04u56 Om periodes van droogte en zware regenval beter te beheersen, wil Aquafin de anderhalf miljoen regenwaterputten bij mensen in de tuin...


Momenteel circa 150 bestuurders met alcholslot 4

Momenteel circa 150 bestuurders met alcholslot

16u25 Op dit ogenblik rijden zowat honderdvijftig mensen in België met een alcoholslot. Verkeersveiligheidsinstituut Vias Institute verwacht...



Grieken halen honderden vluchtelingen uit kamp 7

Grieken halen honderden vluchtelingen uit kamp

11u38 De Griekse autoriteiten zijn begonnen met het verplaatsen van 1.500 asielzoekers van het eiland Lesbos naar het Griekse vasteland. Een...

Verdachte mesaanval Lyon is psychisch gestoord 1

Verdachte mesaanval Lyon is psychisch gestoord


FKA twigs blijkt té enthousiast: “Tijdens het dansen raakten de hechtingen in mijn navel los” Celebrities

FKA twigs blijkt té enthousiast: “Tijdens het dansen raakten de hechtingen in mijn navel los”

Grieken halen honderden vluchtelingen uit kamp 7

Grieken halen honderden vluchtelingen uit kamp

11u38 De Griekse autoriteiten zijn begonnen met het verplaatsen van 1.500 asielzoekers van het eiland Lesbos naar het Griekse vasteland. Een...

Zo wordt Nieuwjaar in de rest van de wereld gevierd: van 12 druiven en borden gooien tot rode lingerie 5

Zo wordt Nieuwjaar in de rest van de wereld gevierd: van 12 druiven en borden gooien tot rode lingerie

VIDEO. Haar van Miss Africa vliegt plots in brand tijdens kroning op podium TV 1

VIDEO. Haar van Miss Africa vliegt plots in brand tijdens kroning op podium

Slotenmakers haken af omdat justitie te traag betaalt: politie moet zelf leren inbreken De Krant 76

Slotenmakers haken af omdat justitie te traag betaalt: politie moet zelf leren inbreken

Immense kolonie plaagmieren ondergraaft héle Gentse Citadelpark, 38 voetbalvelden groot HLN Plus

Immense kolonie plaagmieren ondergraaft héle Gentse Citadelpark, 38 voetbalvelden groot

Deze mannen wilden allebei geschiedenis schrijven met een solo-oversteek over Antarctica. Zonder het van elkaar te weten HLN Plus

Deze mannen wilden allebei geschiedenis schrijven met een solo-oversteek over Antarctica. Zonder het van elkaar te weten

Onze journaliste mengde zich tussen de gele hesjes. “Nu doen we door, tot de belastingen omlaag gaan” HLN Plus

Onze journaliste mengde zich tussen de gele hesjes. “Nu doen we door, tot de belastingen omlaag gaan”

Wie is Greg R. (70), kopstuk van motorclub Caloh Wagoh en 'godfather' van de Nederlandse misdaad? HLN Plus

Wie is Greg R. (70), kopstuk van motorclub Caloh Wagoh en 'godfather' van de Nederlandse misdaad?

Zo wil Ikea de meubelen redden HLN Plus

Zo wil Ikea de meubelen redden

Nog nooit zoveel jongeren op spoed na alcoholmisbruik: “Trek leeftijdsgrens op” 164

Nog nooit zoveel jongeren op spoed na alcoholmisbruik: “Trek leeftijdsgrens op”

Primeur in ons land: Belg (48) met ‘normale’ penis onder het mes voor verkleining 51

Primeur in ons land: Belg (48) met ‘normale’ penis onder het mes voor verkleining

Waarom historisch hoog alcoholmisbruik bij jongeren ons zorgen moet baren: schets van hun toekomstbeeld Medisch 39

Waarom historisch hoog alcoholmisbruik bij jongeren ons zorgen moet baren: schets van hun toekomstbeeld

Nieuws

Hoe granaataanslag op de fiets einde maakt aan wapenstilstand in Antwerpse drugsoorlog HLN Plus

Hoe granaataanslag op de fiets einde maakt aan wapenstilstand in Antwerpse drugsoorlog

Spaanse politie maakt jacht op Belgische toerist die tiener keel probeerde over te snijden op Mallorca 8

Spaanse politie maakt jacht op Belgische toerist die tiener keel probeerde over te snijden op Mallorca

Gasten op bruiloft in Houthalen schieten met alarmpistolen in de lucht, politie opent onderzoek Houthalen-Helchteren

Gasten op bruiloft in Houthalen schieten met alarmpistolen in de lucht, politie opent onderzoek

Lees meer Nieuws

Sport

Romelu Lukaku roept voetbalinstanties op tot actie na racisme-incident Serie A 13

Romelu Lukaku roept voetbalinstanties op tot actie na racisme-incident

KOERS KORT. Evenepoel valt (zonder erg) in Wetteren - Team Ineos stelt Carapaz voor, Quintana naar Arkéa-Samsic

Koers kort 2

KOERS KORT. Evenepoel valt (zonder erg) in Wetteren - Team Ineos stelt Carapaz voor, Quintana naar Arkéa-Samsic

Jan Vertonghen is weer basisspeler bij Tottenham: “Heel, heel blij” Premier League

Jan Vertonghen is weer basisspeler bij Tottenham: “Heel, heel blij”

Lees meer Sport

Showbizz

Erik Van Looy lost nieuwe namen voor ‘De Slimste Mens ter Wereld’ TV

Erik Van Looy lost nieuwe namen voor ‘De Slimste Mens ter Wereld’

Olga Leyers gaat apneuduiken en Nathalie Meskens cheerleaden: dit zijn de uitdagingen in ‘Beat VTM’ tv

Olga Leyers gaat apneuduiken en Nathalie Meskens cheerleaden: dit zijn de uitdagingen in ‘Beat VTM’

‘Thuis’ start jubileum zonder huwelijk maar mét een catfight en geboorte showbizz 1

‘Thuis’ start jubileum zonder huwelijk maar mét een catfight en geboorte

Lees meer Showbizz

Nina

SOS eerste schooldag: wat als je kind al huilend thuiskomt van school? Familie 1

SOS eerste schooldag: wat als je kind al huilend thuiskomt van school?

Dior schrapt reclamefilmpje met Johnny Depp na beschuldigingen van racisme Style 5

Dior schrapt reclamefilmpje met Johnny Depp na beschuldigingen van racisme

Curvy vrouwen shoppen liefst online: deze webshops hebben het beste aanbod Style 3

Curvy vrouwen shoppen liefst online: deze webshops hebben het beste aanbod

Lees meer Nina

In de buurt

Piet (54) redt tijdens vakantie in Zwitserland vrouw van verdrinkingsdood: “Ik heb het moment nog tientallen keren herbeleefd” Oostkamp

Piet (54) redt tijdens vakantie in Zwitserland vrouw van verdrinkingsdood: “Ik heb het moment nog tientallen keren herbeleefd”

Moe, bezweet, haar in de war: leerkracht post foto voor en na eerste schooldag Aalst

Moe, bezweet, haar in de war: leerkracht post foto voor en na eerste schooldag

HLN kiest Hét Streekproduct 2019: "We willen weer authenticiteit op tafel"

HLN kiest Hét Streekproduct 2019: "We willen weer authenticiteit op tafel"

Lees meer Populair in de buurt

Bizar

Sint-Helena zoekt parttime Napoleon-impersonator Het leukste van het web 3

Sint-Helena zoekt parttime Napoleon-impersonator

Haan pikt vrouw (76) dood die eieren komt rapen in kippenren Bizar 11

Haan pikt vrouw (76) dood die eieren komt rapen in kippenren

Piloot in opleiding zet toestel aan de grond nadat instructeur bewustzijn verliest Bizar 9

Piloot in opleiding zet toestel aan de grond nadat instructeur bewustzijn verliest

Lees meer Bizar

Geld

Begrotingstekort loopt op tot bijna 12 miljard tegen 2024 612

Begrotingstekort loopt op tot bijna 12 miljard tegen 2024

Vlaamse werkloosheid verder gedaald in augustus 8

Vlaamse werkloosheid verder gedaald in augustus

Ruim 10 procent meer faillissementen tijdens zomermaanden Economie 6

Ruim 10 procent meer faillissementen tijdens zomermaanden

Lees meer Geld

iHLN

Hackers plaatsen racistische tweets op profiel van... Twitter-CEO Multimedia 1

Hackers plaatsen racistische tweets op profiel van... Twitter-CEO

Verdwijnen de likes onder berichten op Facebook? Internet 4

Verdwijnen de likes onder berichten op Facebook?

Dit zijn de beste smartphones per prijsklasse Multimedia 6

Dit zijn de beste smartphones per prijsklasse

Lees meer iHLN

WOON.

Waarom onze regenwaterput binnenkort wellicht slim wordt HLN Plus

Waarom onze regenwaterput binnenkort wellicht slim wordt

Goed gestart: 8 gadgets voor leuker bureauwerk Woon.

Goed gestart: 8 gadgets voor leuker bureauwerk

Mieke renoveert appartement met amper 17.500 euro Livios 18

Mieke renoveert appartement met amper 17.500 euro

Lees meer WOON.
Terug naar boven
Volg HLN op
  • Facebook
  • Twitter
  • Instagram

Algemeen

  • Vragen over uw abonnement?
  • Tips voor de redactie?
  • Wil u reageren?
  • Vacatures
  • Adverteren
  • Partners

Krant

  • Neem een abonnement
  • Klantenservice
  • Vakantieservice
  • Audiokrant

Volg HLN

  • Facebook
  • Twitter
  • Instagram
  • Nieuwsbrieven

Mobiel

  • Mobiele site
  • App store
  • Play store

© 2019 MEDIALAAN nv. Alle rechten voorbehouden - Medialaan 1, 1800 Vilvoorde - RPR Brussel nr 0432.306.234
  • Gebruiksvoorwaarden
  • Privacybeleid
  • Cookiebeleid
  • Cookie instellingen

Raad voor de Journalistiek GoPress License 2 Publish Jury voor Ethische Praktijken Centrum voor Informatie over de Media
DPG Media